CAN DO Corporate Center has fully-permitted site with all approvals in place

February 9, 2018
CAN DO Corporate Center has fully-permitted site with all approvals in place

CDCCmapAs a driving force for economic development throughout Greater Hazleton and Northeast Pennsylvania, CAN DO, Inc. recognizes that having fully-permitted sites available allows corporations to begin construction immediately and save what can be months or potentially years of regulatory processes to get a site fully approved. CAN DO has answered this need for efficiency by preparing a site in its CAN DO Corporate Center that is fully-permitted with all approvals in place and all utilities located at the property boundary.

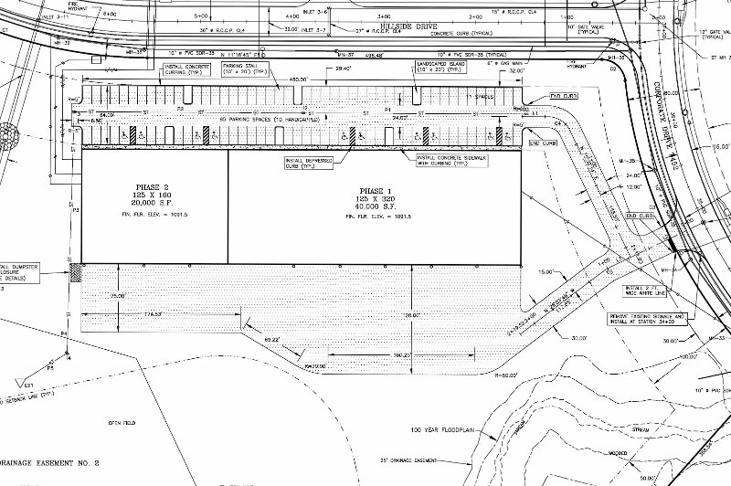
CAN DO has made this 12.83-acre property available for sale or lease. The site is suited for office, light manufacturing or e-commerce/distribution and can accommodate a 40,000 square-foot to 60,000 square-foot Class A building. The land, which is adjacent to Interstate 80 and PA State Route 309, is located approximately two miles east of the junction with Interstate 81 and 15 miles west of the Northeast Extension of the PA Turnpike.

CDCCaerialCAN DO Vice President Joseph Lettiere said, “In today’s fast-paced business climate, it’s important to be able to offer sites that are fully entitled. Additionally, the Corporate Center is an award-winning development with a prime location near the Interstate 80 and 81 junction. We believe our corporate park has tremendous potential for growth.”

The CAN DO Corporate Center is geared toward flex development, back office and light industrial operations. The ultra-modern business park features a unique environmentally sensitive design known as the Terrarium Concept, which preserves the natural ecological beauty of its surroundings. This design earned CAN DO the Arthur D. Little Organization Environmental Excellence in Economic Development Award. The Corporate Center’s state-of-the-art telecom network – with a full fiber-optic backbone – is capable of handling the most rigorous back office and call center demands.

Just a few companies that have set up operations in the Corporate Center include: Web.com, bestcigarprices.com, JPC Equestrian and Muzo (offering the patented Kite Tables). Construction is also underway on Butler Township’s new municipal services facility along Corporate Drive which will further benefit the tenants of the park.

For more information on Site 19 in the CAN DO Corporate Center, visit the property page at http://hazletoncando.com/cdcc-19 or contact CAN DO at 570-455-1508.

Share This